LA CONCEPCIÓN Pocrí, Pocrí, Los Santos
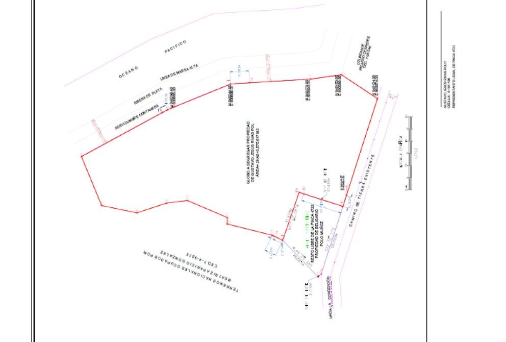
Unique investment opportunity in the province of Los Santos. A large plot of land with approximately 200 linear meters of direct beachfront on the Pacific Ocean is for sale in Pocrí, Los Santos Province. This property is just minutes from Pedasí and is part of the Azuero coast. This property has a total area of 20,575.61 m², ideal for tourism development, residential development, or a high-end investment project, similar to those already developed on neighboring beaches such as Las Tablas and Pedasí. Key features: 200 linear meters of oceanfront; direct beach access; mixed topography with flat areas and elevated areas offering scenic views; growing tourism area; road access and availability of basic services; area with developing tourism and residential projects; proximity to Pedasí and renowned beaches. The property is located in a strategic area with high appreciation potential, surrounded by nature, tranquility, and tourist attractions such as Isla Iguana and various beaches in the region. Ideal for investors looking to develop an exclusive beachfront project in one of Panama’s fastest-growing areas. Schedule a visit today.
"All our properties come with the option to obtain legal residency in Panama through our main law firm, Expat-Tations, as an integrated service.
Immerse yourself in the captivating ambiance of our properties. Book a personalized tour to explore the exquisite beauty and unique features of our property.
Our knowledgeable staff will guide you through the property, answering any questions you may have.
$309,390
Added: September 22, 2025
$43,000
Added: March 26, 2026
$650,000
Added: March 11, 2026
San Carlos, PH Riomar
Owning a home is a keystone of wealth… both financial affluence and emotional security.
Suze OrmanPlease enter the 6-digit OTP sent to your email.
Time remaining: 05:00